These traffic calming measures were installed in August 2025.


Project background

In response to resident concerns around speeding, poor visibility, accidents, and pedestrian safety near bus stops, Council is implementing safety upgrades along Hampden Road.

The safety upgrades that have already been delivered include:

  • Stage 1: Pedestrian refuge islands on Hampden Road at the intersections with Sibbick Street and Tyler Crescent to improve pedestrian safety and reduce vehicle speeds.
  • Stage 2: Upgraded line marking with painted medians, chevrons, and edge lines to visually narrow the road and reduce vehicle speeds.

Additional traffic calming measures

From 7 - 21 July 2025 we asked for feedback on additional traffic calming measures.

Following a review of submissions, Council has revised plans to reflect community input. While there was clear support for improving vehicle accessibility and reducing speeds, some concerns were raised about the potential for noise and congestion – particularly in relation to the originally proposed speed cushions on Hampden Road.

Changes will be implemented August 2025, weather permitting. Learn more below.

Safety measures being implemented

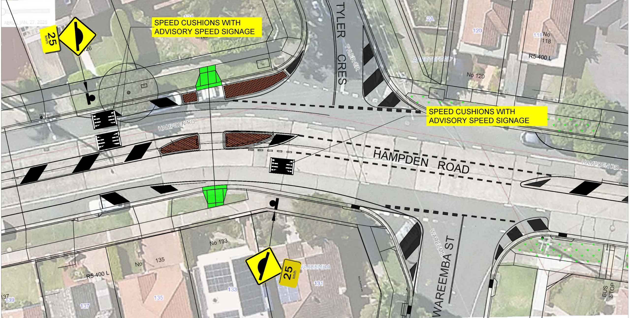
Speed cushions

Community feedback has been considered and speed cushions are now proposed only on Hampden Road at two key locations. These include both approaches to the newly constructed pedestrian refuge at the intersection of Hampden Road and Tyler Crescent, as well as both approaches to the pedestrian refuge at the intersection of Hampden Road and Sibbick Street.

This targeted placement is intended to slow traffic where pedestrian activity is highest whilst minimising noise and congestion impacts.

On Sibbick Street, the originally proposed speed cushions will remain in place, as no objections were received during the consultation period.

‘No Stopping’ restrictions on Sibbick Street

On the southern approach to Hampden Road, the restriction has been reduced from 25 metres to 13 metres to address community feedback. Although the minimum regulatory requirement under NSW Road Rules is 10 metres, the restriction has been extended slightly to prevent vehicles from obstructing the adjacent driveway and to maintain safe access.

On the northern approach, the ‘No Stopping’ restriction will remain as originally proposed (30 metres), as no concerns were raised about this section.

Double unbroken dividing lines on Sibbick Street

The length of the proposed double unbroken dividing lines on the southern approach to Hampden Road has been reduced to 11 metres, to address community feedback. The length of the dividing lines on the northern approach will remain unchanged from the original proposal (25 metres).

Updated plans

These plans have been updated following feedback received from the community. Click images to enlarge.

Initial consulation

Additional safety measures proposed

  • ​Speed cushions

    The speed cushions have been strategically placed to reduce speeding along Hampden Road (between Great North Road and Lyons Road) and Sibbick Street (between Byrne Avenue and Bouvardia Street). This would encourage vehicles to slow down to the advisory speed limit of 25km/h.

  • 'No Stopping' restrictions

    The installation of ‘No Stopping’ restrictions responds to resident requests to improve access for vehicles entering and exiting Sibbick Street. The proposed restrictions would also ensure there are sufficient sight lines for motorists travelling through these intersections

  • Double unbroken dividing lines

    Painting a double unbroken centreline on Sibbick Street at the intersection with Hampden Road would prevent unsafe vehicle manoeuvres and clearly define traffic travel paths. These measures would enhance visibility, reduce confusion, and help minimise the risk of collisions.

Draft plans

The draft plans are shown below. Click images to enlarge,

How we collected feedback

Feedback closed Monday, 21 July 2025.